| 価格 | 2,270万円値下がり ![]() |
||||
|---|---|---|---|---|---|
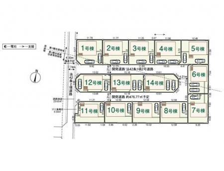
| 所在地 | 埼玉県飯能市双柳 1486-7
この地域周辺の物件を見る |
土地面積 | 125.09m² (37.84坪) | 建物面積 | 96.78u |
| 築年月 | 2026年2月築 | 間取り | 4SLDK (LDK16.2/和室4.5/洋室7.5/洋室6/洋室5/S2) | ||
| 交通 |
JR八高線 東飯能 市営住宅 バス10分 停歩7分
西武池袋線 飯能 市営住宅 バス19分 停歩7分 西武池袋線 元加治 徒歩31分 |
||||
電話をかける(携帯・PHS可)
0120-05-3811
「ホームページを見た」とお伝え下さい。
お問い合わせ番号をお伝えください
RHS-165801-11982
| 特徴 |
|
|---|---|
| セールスコメント | 〇新規開発分譲地! ●ペアガラスを全窓採用! 〇全部屋南向き |
| 採光面 | 南 | 構造/階数 | 木造/地上2階建 |
|---|---|---|---|
| 建ぺい率 | 60(%) | 容積率 | 200(%) |
| 駐車場 | 有 | 現況/引渡し | 新築/即時 |
| 土地権利 | 所有権 | 私道負担面積 | - |
| 接道状況 | 接道: 北 道路幅: 4.2m 接道: 南 道路幅: 4.2m 接道: 西 公道 道路幅: 4m |
用途地域 |
第一種中高層住居専用地域
|
| セットバック | - | 法令上の制限 | - |
| 地目 | 宅地 | 地勢 | 平坦 |
| 建築確認番号 | 第KBI-SGM25-10-2876号 | 都市計画 | 市街化区域 |
| 小学校区 | 双柳小学校 | 中学校区 | 飯能第一中学校 |
| 取引態様 | 仲介 | ||
| 情報更新日 | 2026年05月15日 | 次回更新日 | 2026年05月29日 |
| 小学校区 | 飯能市立双柳小学校 (埼玉県飯能市) この学区の他の物件を見る |
中学校区 | 飯能第一中学校 (埼玉県飯能市) この学区の他の物件を見る |
|---|
電話をかける(携帯・PHS可)
0120-05-3811
「ホームページを見た」とお伝え下さい。
お問い合わせ番号をお伝えください
RHS-165801-11982
| 価格 | 万円 | ||
|---|---|---|---|
| 年利率 | % |
||
| ボーナス払い | 返済年数 | ||
| 頭金 | 直接入力する | 万円 | |

毎月のご返済額 |
ボーナス(×年2回) |
物件価格2,270万円 |
電話をかける(携帯・PHS可)
0120-05-3811
「ホームページを見た」とお伝え下さい。
お問い合わせ番号をお伝えください
RHS-165801-11982
※上記ローン返済額別物件特集(月々の支払)につきましてはあくまで目安となり、銀行審査で個人情報等により異なるケースもございます。
●電子キーや防犯カメラなど安心便利な設備充実
●前面道路は新しく整備された開発道路で駐車ラクラク
《センチュリー21安藤建設なら新築設備保証10年無料》